Stoughton, WI 53589
Listing ID:#27254
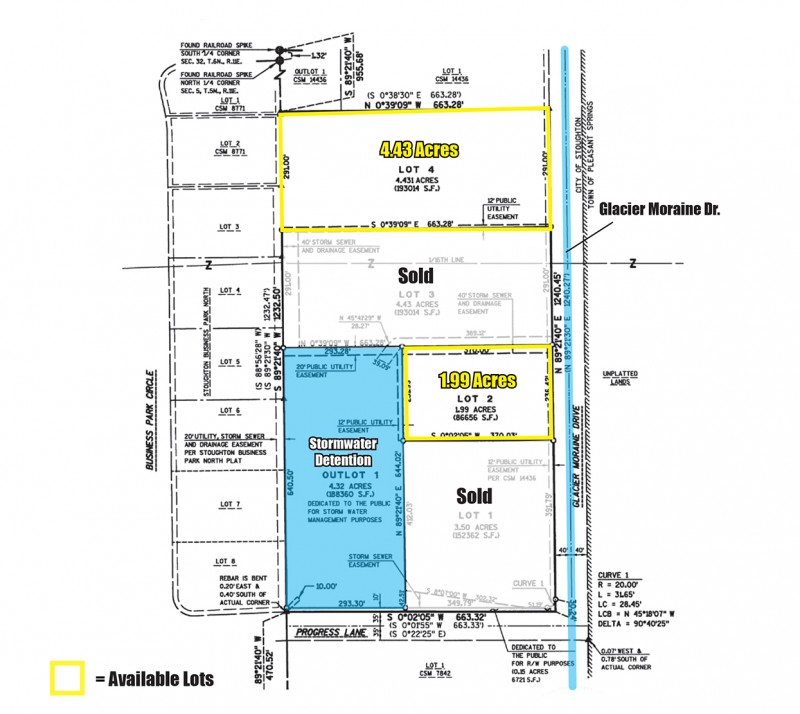
Parcel Size:2 - 4.43 Acres
Total Price:$120,000
Price per SF:$1.38
Price per Acre:$60,000
Property Type:Land
Date Available:Now
Sub-Type: Development Site
Zoning:Industrial
Land Status:Improved
Municipal Sewer:Yes
Municipal Water:Yes
Important Disclaimer: Content for property listings on this website is provided by third parties. The party posting this listing is solely responsible for the accuracy of the information provided, including commissions. PropertyDrive makes no guarantee, warranty, or representation about the accuracy, timeliness or thoroughness and disclaims responsibility for the content of any property listing. PropertyDrive reserves the right to remove listings at any time.
